浦东三林镇即将新建两处住宅小区~
两个住宅小区具体位置在哪?
规模多大?未来长什么样?
……别着急
下面为大家一一解答~↓↓↓

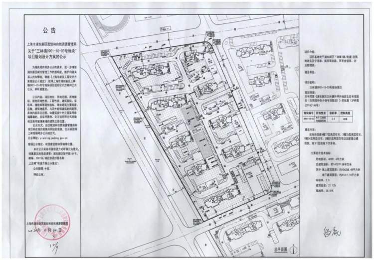
01 三林镇0901-10-03号地块项目
🏠项目介绍:项目基地处于浦东新区三林镇(镇/街道)范围,地块东至宁泽路、南至翠轩路、西至金谊河、北至懿德路。
公示图

🏠规划依据:关于同意《浦东新区三林镇外环外地区生态专项规划(含筠溪特色小镇专项规划)的批复(沪府规[2016]146号)》

建设内容
该地块拟建4幢27层高层住宅、2幢25层高层住宅、1幢24层高层住宅、2幢23层高层住宅以及配套公建用房,地下1层的汽车库。
主要经济技术指标
用地面积:40991.4平方米
总建筑面积:约147579.58平方米
容积率:2.5
建筑密度:21.12%
绿地率:35.01%



02 三林镇0901-11-01号地块
🏠项目介绍:项目基地处于浦东新区三林镇(镇/街道)范围,地块东至东明路、南至翠轩路、西至宁泽路、北至懿德路。
公示图

🏠规划依据:关于同意《浦东新区三林镇外环外地区生态专项规划(含筠溪特色小镇专项规划)的批复(沪府规[2016]146号)》

建设内容
该地块拟建1幢27层高层住宅、1幢26层高层住宅、1幢25层高层住宅、2幢24层高层住宅、3幢23层高层住宅、1幢16层高层住宅以及配套公建用房,地下1层的汽车库。
主要经济技术指标
用地面积:40642.7平方米
总建筑面积:约147350.04平方米
容积率:2.5
建筑密度:21.67%
绿地率:35.01%




三林即将新建的
这两个住宅项目以宁泽路为界,
将配备配套公建用房
以及地下停车场。
一起期待它们的建成吧~
来源:浦东发布 作者:浦东发布
