今年第9号台风“利奇马”带来的暴雨,上海似乎躲不掉了。
今天,各机构台风预测路径趋于统一,“利奇马”可能的登陆点变得具体:浙江中北部沿海。可能登陆时间则为周六早晨到午后。
不过,在浙江近海北上的可能性依然没有被排除。
从中央气象台的最新路径预计来看,“利奇马”以强台风级登陆杭州中北部后,可能再次在杭州湾北侧的浙江海盐一带登陆。

日本、美国、中国台湾、中国香港等地区的气象预测,则依然认为“利奇马”可能二次登陆上海南部沿海。

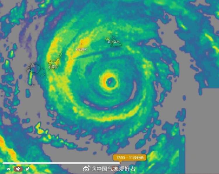
“利奇马”的爆发比想象中更猛烈,在一天多的时间里中心风力连跳6级。
昨天早晨,“利奇马”才刚加强为中心附近最大风力12级的“台风级”,而目前已经超过了“超强台风”中心附近最大风力16级的门槛,晋升“17级俱乐部”了。
而且,还发展出了“双眼墙”。中国气象爱好者科普微博指出,这是极强台风的“专利”。

去年的超强台风“康妮”也曾有过双眼墙。
当热带气旋到达一定的强度时,其中心便形成了一个无风无云的区域,此即风眼。
一个成熟的台风风眼的直径通常由数十至100公里不等,风眼附近一道狭窄的环流名叫“风眼墙”,是热带气旋中风力最强劲,天气最恶劣的地方,同时气压有最大的差距。
强烈台风,通常当其结构强度发展到最高极限,因为自转偏向力和内外涡度差或其它原因开始眼壁置换时,就会在眼墙部分再长出一个台风眼,出现两圈眼墙。
中央气象台上午发布了台风橙色预警,国家海洋预报台发布海浪I级警报(红色),预计浙江近海将现4到6米的巨浪到狂浪。

“利奇马”的四大特点
今年第9号台风“利奇马”具有登陆强度强、风雨强度大、持续时间长、影响范围广等特点。
登陆强度强:今年此前有2个台风登陆我国,分别为第4号台风“木恩”和第7号台风“韦帕”,登陆时的强度为热带风暴级,风力分别为8级、9级,而台风“利奇马”登陆时的强度预计是14-15级的强台风。
风雨强度大:受“利奇马”影响,8-13日东海、黄海中西部、杭州湾、长江口区以及浙江、上海、江苏、山东南部等地沿海将有9-12级大风,部分海域风力将达到13-16级,阵风17级以上。
持续时间长:“利奇马”未来即使登陆我国,也不会深入内陆,强度减弱慢,比较有利于维持台风环流,一路北上预计会给我国带来长时间风雨影响。
影响范围广:预计8-11日,台湾、福建、浙江、上海、江苏、山东、天津、辽宁等8省市将受到台风直接影响,后期台风和冷空气结合,还会给华北东部、东北等地带来大范围强降雨。

疾风暴雨周末到上海
上海方面,狂风骤雨已在路上。
今天上海的“太阳雨”和满天晚霞就是“利奇马”的前奏。
上海中心气象台预计,明天白天本市分散性阵雨,夜里起降水加强。强降水时段集中在9日夜里到11日上午,雨量可达暴雨到大暴雨。
风也不可小觑,9-11日陆地最大阵风9-11级,长江口区东部12-13级,洋山港区和上海市沿海海面阵风12-14级。
中国气象频道气象分析师信欣分析,上海从明天20时至下周一02时可能处于大风区,周六到周日下午航班可能大面积取消。
虽然很多上海网友很相信能“反弹”台风的“魔都结界”,不过从去年上海被三个台风登陆来看,“魔都结界”也不总是灵光的,对“利奇马”还是要随时关注,慎重对待。
来源:周到上海 作者:徐妍斐
